| 価格 | 120万円 ![]() |
||||
|---|---|---|---|---|---|
| 所在地 | 千葉県成田市稲荷山
この地域周辺の物件を見る |
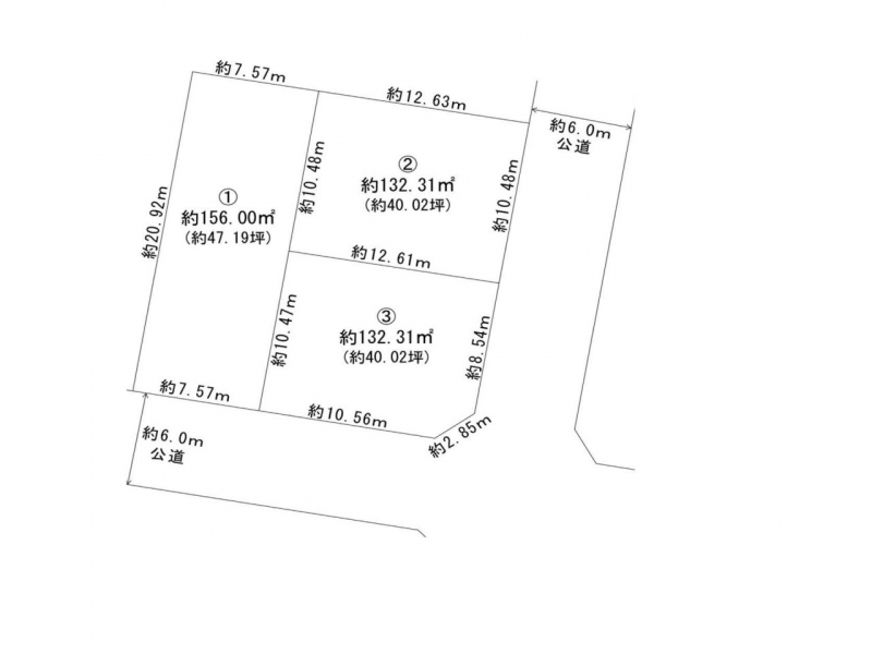
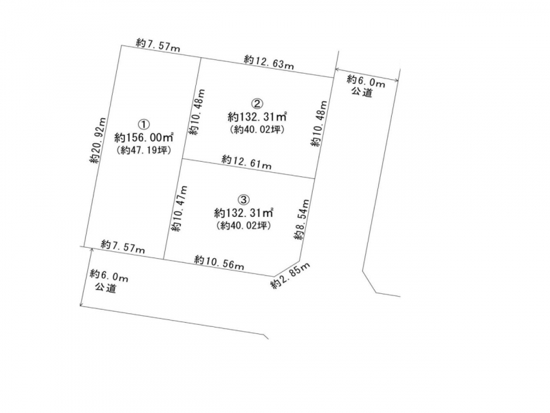
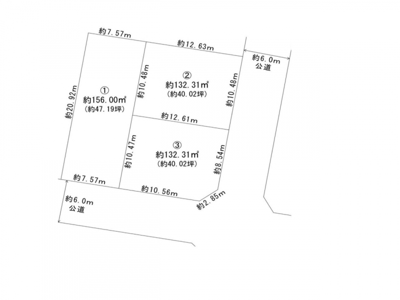
土地面積 | 151.2m² (45.74坪) | 坪単価 | 2.62万円 /坪 |
| 交通 | JR成田線 下総神崎 徒歩75分
JR成田線 空港第2ビル 徒歩168分 |
建ぺい率 | 50 % | 容積率 | 100 % |
電話をかける(携帯・PHS可)
0120-362-312
「ホームページを見た」とお伝え下さい。
お問い合わせ番号をお伝えください
RHS-990900765
| 特徴 | |
|---|---|
| セールスコメント | 建築基準法22条指定区域 宅内まで引き込み無 建築条件:なし 都市計画:非線引区域 |
| 建築条件 | - | 土地権利 | 所有権 |
|---|---|---|---|
| 現況/引渡し | 更地/即時 | 接道状況 | 接道: 北西 9.5m 公道 道路幅: 5m |
| 私道負担面積 | - | セットバック | なし |
| 地勢 | 地目 | 宅地 | |
| 用途地域 | 第一種低層住居専用地域 | 都市計画 | |
| 法令上の制限 | - | 国土法届出 | 不要 |
| 取引態様 | 仲介 | ||
| 情報更新日 | 2026年03月17日 | 次回更新日 | 2026年03月31日 |
| 小学校区 | () |
中学校区 | () |
|---|
電話をかける(携帯・PHS可)
0120-362-312
「ホームページを見た」とお伝え下さい。
お問い合わせ番号をお伝えください
RHS-990900765
| 年利率 | % |
||
|---|---|---|---|
| ボーナス払い | 返済年数 | ||
| 頭金 | 直接入力する | 万円 | |

毎月のご返済額 |
ボーナス(×年2回) |
物件価格120万円 |
電話でお問い合わせ
ME不動産千葉
|
電話をかける 0120-362-312 ※「ホームページを見た」とお伝えください。 |
お問い合わせ番号をお伝えください RHS-990900765 |
|---|
ご来店していただいたお客様にギフト券3000円分プレゼント中です(1組1回限り)。お住まい探しならローンに詳しいME不動産千葉にお任せください。